Flagship Projects














Transforming AFAB into a commercial, lifestyle, and logistics hub:
 -₱2.4B Central Business District (mall, hotel, offices, parking).
 -16-hectare Golf Course & Clubhouse.
 -Boardwalk & Coastal Strip - Retail and tourism.
 -Sports Facilities - Yacht club, tennis & pelota courts, basketball.
 -Logistics & Warehousing Complex - For industrial growth.







Kronenthal Building - 11th Avenue, BGC (Under Negotiation)
KHI is in negotiations for a 2,265 sqm parcel on 11th Avenue, 
Bonifacio Global City, valued at ₱4.077B. Planned as a 45-storey 
corporate tower that will symbolize KHI's long-term presence in 
the financial core of Metro Manila.
Planned Features:
 -Retail podium and landscaped gardens.
 -Flexible office plates and executive levels.
 -Rooftop skybar with panoramic views.





Nationwide Housing - 4PH Consolidated Pipeline 
(ALL PROJECTS LISTED ARE SHOVEL READY)
The government has set a target of 4 million housing units by 2028 under the Pambansang Pabahay
Para sa Pilipino (4PH) program. As of 2025, only 428,000 units are financed or completed, leaving amassive gap.
KHI's Role - Bridging the Gap:
 -Financier & Consolidator: Bundling LGU developer projects into one accountable counterparty.
 -Turnkey Accelerator: Sustaining liquidity to avoid construction delays.
 -Investor Magnet: Channeling institutional and foreign capital into Pag-IBIG-backed housing
assets.
 -Nation-Building Partner: Closing the gap toward the 4M-unit target.
Portfolio Snapshot (43,600 units):
 -Bagong Silangan, QC: 10-storey condo (24,640 sqm GFA).
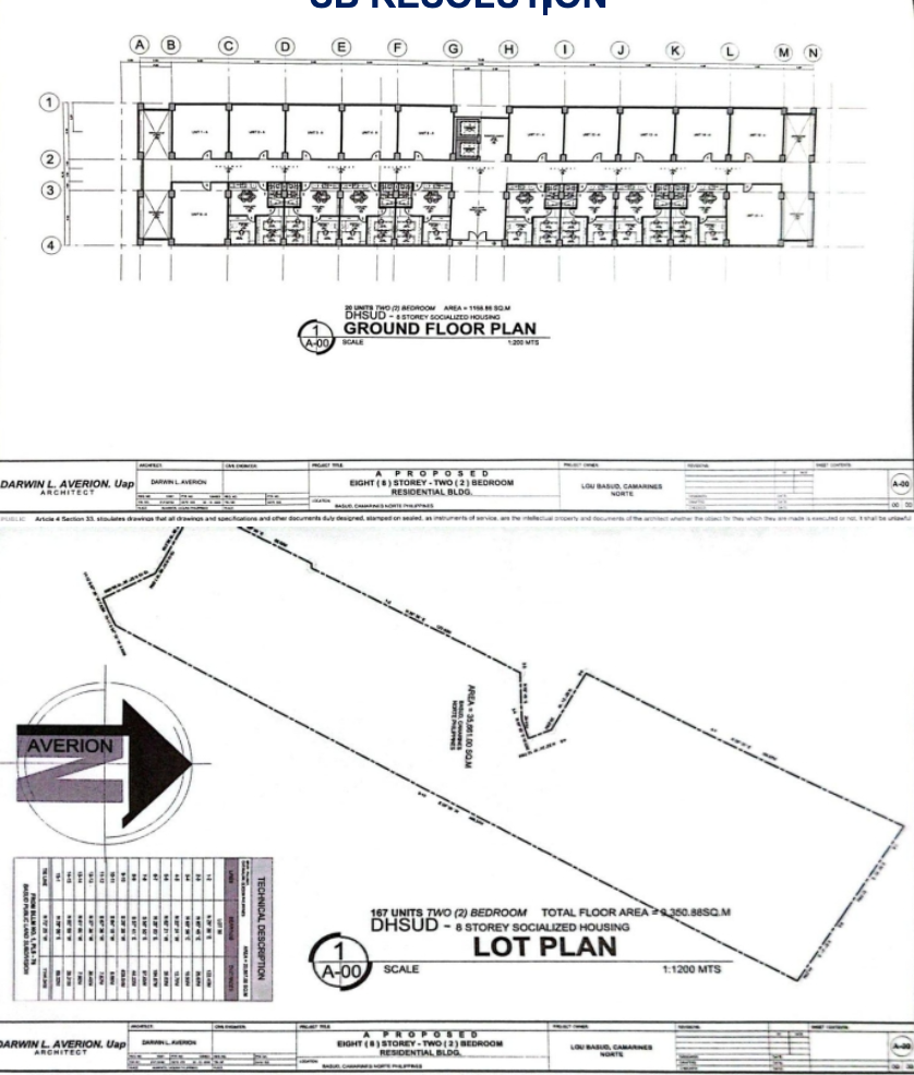
 -Basud, Camarines Norte: RAHUGAN Residences, 10,000 units, ₱18B.
 -Cabarroguis, Quirino: 3,920 units, ₱7.056B.
 -Balai Coco Residences, Sariaya, Quezon:1,728 units, ₱3.11B.
 -EGP Residences, Batangas : 496 loft units.
 -Greenfields Ville, Isabela: 476 rowhouses, ₱404.6M.
 -Mandaluyong (Namayan):16-storey, 640 units.
 -Alaminos Prosperity Residences, Pangasinan:900 units, ₱1.04B.
 -Royalink, Nueva Ecija:7,299 units, ₱10.63B combined.
Humanitarian Imperative: Every delayed project leaves families in unsafe settlements. KHI's financing
ensures progress, bridging the gap from today's pace to the government's 4M-unit goal.







Balai Coco Residences, Sariaya,
Quezon:1,728 units, ₱3.11B




Royalink, Nueva Ecija:7,299 units, ₱10.63B combined Greenfields Ville, Isabela: 476
rowhouses, ₱404.6M



Healthcare & Wellness Hub - Integrated Medical City
A mixed-use healthcare township in Mexico, Pampanga that fuses treatment, education, and housing into one ecosystem, anchored by The Lakeshore Medical Center (TLMC).
Components:
 -Modern Tertiary Hospital: State-of-the-art care.
 -Medical School : Training doctors, nurses, and allied health professionals.
 -Condominiums: For medical staff, students, and families.
 -Retirement Homes & Assisted Living : Senior care with medical support.
 -Medical Hub & Research Zone: Clinics, diagnostics, and innovation centers.

Healthcare & Wellness Hub - Integrated Medical City
Letter of Intent submitted to acquire 1.8 hectares in South Cembo, Taguig.
Planned Vision:
 -Mixed-use masterplan with residences, offices, and commercial hubs.
 -Community-centered spaces and future-ready infrastructure.
 -Among the last major parcels adjoining BGC's CBD.

Nationwide Poultry Integration - Food Security Program 
(200M USD per Region)
In partnership with Evotek Agro Industries Inc., KHI is pioneering a hub-per-region poultry system to
strengthen food security and stabilize the price of chicken nationwide. Each hub is fully integrated,
covering breeding, feed mills, grow-out farms, processing, cold storage, and logistics.
Strategic Value:
 -Provides affordable chicken as a staple protein for Filipino families.
 -Creates large-scale rural employment and livelihoods.
 -Complements 4PH housing communities by ensuring access to affordable nutrition.
 -Generates recurring agricultural revenues while reducing import dependence.


